Mua bán đất tại Hồ Chí Minh mặt tiền rộng, hình thửa đẹp T5/2026

Tìm BĐS
Hiện có 1.070 tin mua bán đất tại Hồ Chí Minh mặt tiền rộng, hình thửa đẹp T5/2026
Bán gấp 2 lô đất thổ cư 135m ngay chợ Củ Chi, HCM - LH: 0938845533

Bán gấp 2 lô đất thổ cư 135m ngay chợ Củ Chi, HCM - LH: 0938845533

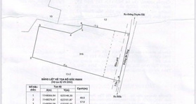
Tôi cần bán gấp 2 lô đất thổ cư ngay Quốc Lộ 22, thị trấn Củ Chi. Cách trung tâm thị trấn Củ Chi 2km, ngay khu công nghiệp Tây Bắc Củ Chi. Diện tích: 5x27m và 5x28m (đất ở hiện hữu thổ cư 100% xây dựng tự do). Giá bớt lộc nhẹ cho khách thiện chí 1,5 tỷ/lô (có hỗ trợ vay ngân hàng). Đường trước đất ...
Bán lô đất MTKD Đ. Cây Trắc xã Phú Hoà Đông Củ Chi - LH: 0899357093

Bán lô đất MTKD Đ. Cây Trắc xã Phú Hoà Đông Củ Chi - LH: 0899357093

Chủ ngộp nên phải bán lại gấp - miễn trung gian cò lái mất thời gian. Đất nằm mặt tiền đường Cây Trắc xã Phú Hoà Đông huyện Củ Chi. Diện tích: 99m² (Ngang 6M), đất vuông vức. Sổ hồng riêng, ngân hàng cho vay 70%, sang tên công chứng liền. Đất thổ cư, xây dựng tự do, không dính mồ mả, không tranh ...